Connect

Find us on...

Dashboard

Login using...

Sandra Baldwin

Realtor - Co-Founder at Launch Real Estate

  • Office (602) 397-4300
Questions?

2735 S Smith Road (unit -), Stanfield, AZ – $79,900

  • $79.9k Price
  • 5.01 Acres
  • $79.9k Price
  • 5.01 Acres

2735 S Smith Road (unit -)

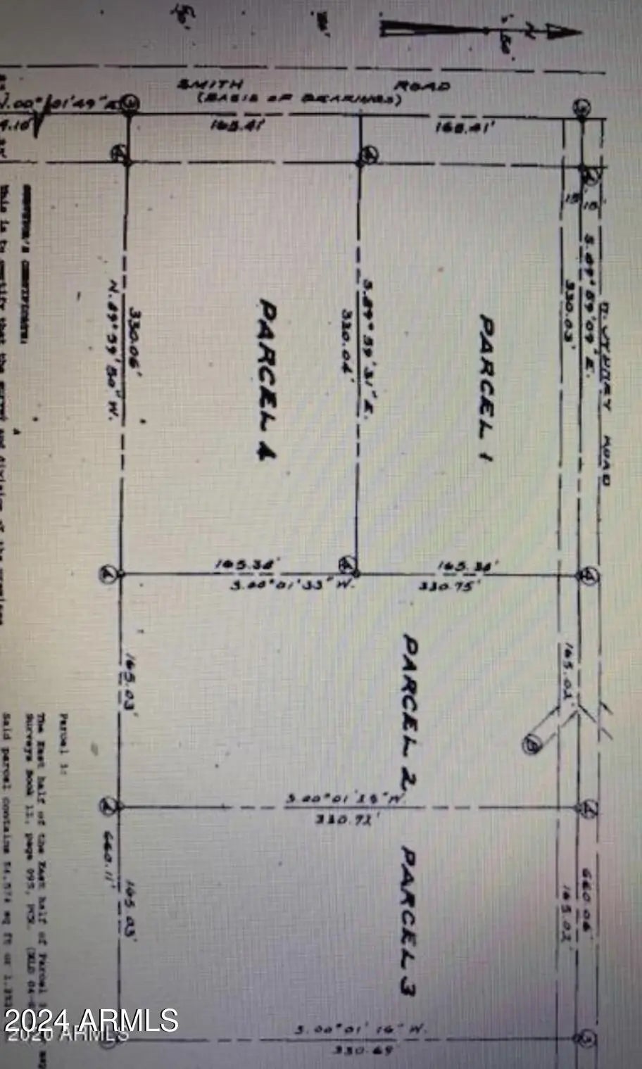
This Scenic, Sub-dividable, Level, 5 Acre Property offers Countless Opportunities & Views for Days! You can Hike or Ride for Miles!Located Near Table Top Mountain Trail. Positioned Between 2 Growing Cities, Maricopa and Casa Grande, Centrally Located Between Phoenix & Tucson & Near 2 Hwys & Great Access To Such Employers Like Lucid Motors, Nikola Motors, Abbott Nutrition, Hexcel, Daisy Brand, Frito Lay, Wal-Mart Distribution Center, Tractor Supply Distribution Center, & more! Please note there is a Record of Survey that subdivided the property into 4 parcels/lots and is included with the sale. Thus, allowing you the Chance to build on one or 2 of the lots and sell off the others. The Record of Survey can be viewed in the photos on this listing & will need to be recorded after closing.

Essential Information

  • MLS® #6785843
  • Price$79,900
  • Acres5.01
  • TypeLand
  • StatusActive

Community Information

  • Address2735 S Smith Road (unit -)
  • SubdivisionS34 T6S R3E
  • CityStanfield
  • CountyPinal
  • StateAZ
  • Zip Code85172

Amenities

  • ViewMountain(s)

Exterior

  • Lot DescriptionCorner Lot

School Information

  • ElementaryStanfield Elementary School
  • MiddleStanfield Elementary School
  • HighCasa Grande Union High School

District

Casa Grande Union High School District

Additional Information

  • ZoningVAC-Rural

Listing Details

Office

Realty Executives Arizona Territory

Please provide a valid email address.

Realty Executives Arizona Territory.

Information Deemed Reliable But Not Guaranteed. All information should be verified by the recipient and none is guaranteed as accurate by ARMLS. ARMLS Logo indicates that a property listed by a real estate brokerage other than Launch Real Estate LLC. Copyright 2026 Arizona Regional Multiple Listing Service, Inc. All rights reserved.

Listing information last updated on January 17th, 2026 at 3:00pm MST.